Обычная версия
Версия для слабовидящих
РУС
ENG
Контакты
Личный кабинет
О компании
Центральный аппарат и филиалы
Дочерние общества
Деятельность компании
Антимонопольный комплаенс
Противодействие коррупции
Нормативно-правовая информация
Отозванные доверенности
Обратная связь
Пресс-Центр
Новости
СМИ о компании
Пользователям автодорог
Сеть дорог
М-1 «Беларусь»
М-3 «Украина»
М-4 «Дон»
М-11 «Нева»
М-12 «Восток»
А-113 ЦКАД
А-289
А-105 Москва-Домодедово
А-107 «ММК»
Грузоперевозчикам
Ремонтные работы
Проезд школьных автобусов
Помощь на дороге
Расчёт стоимости проезда
Договор об организации проезда
Инвесторам
Инвестиционные проекты
Ценные бумаги
Раскрытие информации
Существенные факты
Инсайдерам Госкомпании
Реквизиты
Закупки и реализация
Реализация
Архив до 01.01.2012
Архив закупок с 01.01.2012 по 07.02.2014
Поддержка субъектов МСП
Информация для субъектов МСП
Программа партнерства с субъектами МСП
Деятельность экспертного Совета
О компании
Пресс-Центр
Пользователям автодорог
Инвесторам
Закупки и реализация
Поддержка субъектов МСП
Для справок
+7 (495) 727-11-95
Ситуационный центр
+7 (495) 580-98-41
Обратная связь
Москва, Страстной бульвар, 9
info@russianhighways.ru
Главная
О компании
Нормативно-правовая информация
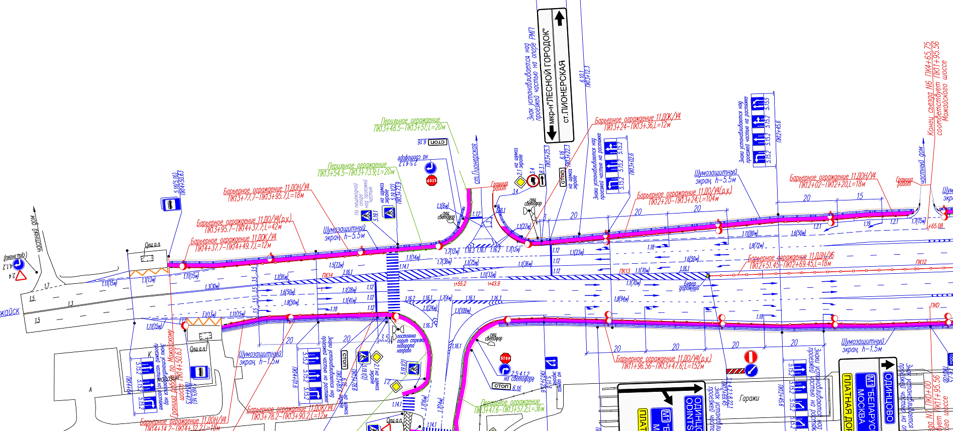
Можайская транспортная развязка
Проекты организации дорожного движения
Фильтр
Назад к категориям
Можайская транспортная развязка
Фильтр
Очистить фильтр
Проект организации дорожного движения
Можайская транспортная развязка
13 мар 2025
Траснпортной развязки на пересечении Можайского шоссе с новым выходом на МКАД федеральной а.д. М-1 "Беларусь"
PDF, 6.54 Mb
Изменения
Можайская транспортная развязка
13 мар 2025
Ликвидация пешеходного светофора 5197-ГФ_29_09_2023
BMP, 4.66 Mb
Этот сайт использует файлы cookie и сервис веб-аналитики Яндекс Метрика, предоставляемый компанией ООО «ЯНДЕКС», 119021, Россия, Москва, ул. Л. Толстого, 16.
Подробнее
в соглашении
.
Принять